Internacional
12:08

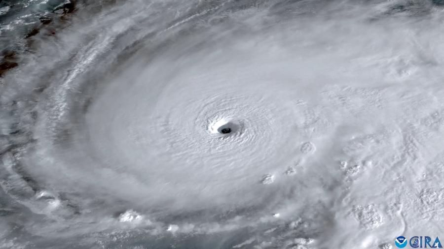
Furacão Melissa desafia operação militar dos EUA no Caribe e pode alterar prioridades

O furacão Melissa, considerado uma “tormenta do século”, aproxima-se da Jamaica e representa um desafio para a operação militar dos Estados Unidos no Caribe. Atualmente, com cerca de seis mil soldados na região focados no combate ao narcotráfico, há a possibilidade de que parte dessas forças seja redirecionada para missões humanitárias, dependendo da decisão do governo de Donald Trump.

O presidente Trump autorizou a maior mobilização de ativos militares americanos na região do Mar do Caribe desde o final dos anos 1980, em uma operação descrita como uma luta contra o tráfico internacional de drogas, com mais de 50 suspeitos mortos em embarcações interceptadas. A aproximação de Melissa durante a temporada de furacões no Atlântico faz com que as forças militares possam ter que ajustar suas prioridades para auxiliar em ações emergenciais.

Fontes militares consultadas pelo Washington Post indicam que a realocação das tropas para ações humanitárias dependerá da decisão do governo americano, o que terá também um significado simbólico sobre as prioridades de defesa adotadas. Bryan Clark, oficial aposentado da Marinha dos EUA, comentou que manter o foco naval na Venezuela em vez de responder a desastres naturais revelará as intenções do governo sobre suas prioridades estratégicas.

Os militares americanos da região também são treinados para operações de resgate e emergências em desastres naturais, tendo atuado anteriormente no Caribe. Com a mobilização atual de seis mil homens na área, eles podem ser as equipes qualificadas mais próximas de áreas críticas, inclusive na Jamaica, onde a Cruz Vermelha prevê que até 1,5 milhão de pessoas podem ser afetadas, enfrentando inundações e danos severos à infraestrutura.

O Departamento de Estado dos EUA informou que suprimentos de emergência já foram posicionados em seis armazéns na região para distribuição rápida a quem for afetado pela tempestade. A decisão de ampliar capacidades de resposta será tomada conforme a necessidade identificada.

Apesar da aproximação do furacão Melissa, a operação militar americana no Caribe segue ativa. O Pentágono anunciou o naufrágio de quatro embarcações de tráfico de drogas no Pacífico, com 14 mortos, região que concentra as principais rotas marítimas do narcotráfico para os EUA.

Entretanto, a maior tensão permanece na costa sul-americana do Caribe, com o envio do contratorpedeiro USS Gravely para exercícios em Trinidad e Tobago, próximo à Venezuela, o que Caracas considera uma provocação.

O governo chavista afirma ter desmantelado uma suposta “célula criminosa” ligada à CIA, denunciando uma operação de “bandeira falsa” com a intenção de atacar um navio da Marinha americana e culpar o presidente Nicolás Maduro. (Com AFP)

Créditos: O Globo

Modo Noturno